Як перенести фотографії з IPod на комп'ютер: 15 кроків

У вас є багато зображень, що зберігаються на Ipod, які ви хочете перенести на комп'ютер? Резервне копіювання зображень на комп'ютер дозволяє видалити їх з iPod, звільняючи цінний простір для зберігання. Якщо у вас є оригінальний Ipod з клік-колесом, або у вас є новий iPod touch, передача зображень займе всього кілька хвилин.

Метод1 З 2:
Використання оригінального iPod

  1. Поставте Ipod в режим Disk Mode.для того, щоб підключити IPod до комп'ютера і отримати доступ до файлів, ваш iPod повинен знаходитися в режимі Disk. Ви можете зробити це за допомогою iTunes, або можете вручну поставити iPod в режим Disk Mode.[1]
    • Щоб поставити iPod в режим Disk Mode за допомогою iTunes, підключіть Ipod до комп'ютера, відкрийте Itunes і виберіть його в меню Devices (пристрої). У вікні Summary (зведення) включите опцію "Enable disk use" (включити використання диска) в розділі Options (Параметри).
    • Щоб перевести iPod в режим Disk Mode вручну, Натисніть і утримуйте кнопки Menu і Select протягом не менше шести секунд. Утримуйте кнопки, поки не з'явиться логотип Apple. Як тільки з'явиться логотип, відпустіть кнопки Menu і Select, а потім натисніть і утримуйте кнопки Select і Play. Тримайте ці кнопки, поки на екрані не з'явиться Disk Mode (Режим диска).
    • Читайте цей посібник для більш докладної інформації про переведення Ipod в режим Disk Mode.
  2. Відкрийте Ipod на своєму комп'ютері.якщо ви ввімкнули режим Disk Mode вручну, підключіть Ipod до комп'ютера. Якщо ви використовуєте Mac, iPod повинен з'явитися на робочому столі як USB-диск. Якщо ви використовуєте ОС Windows, iPod буде перерахований з вашими іншими дисками у вікні Computer/My Computer/This PC (Комп'ютер/мій комп'ютер / цей ПК).
    • Якщо ви використовуєте ОС Windows, то можете швидко отримати доступ до Computer/My Computer/This PC, натиснувши Win+Pause.
  3. Знайдіть фотографії, які хочете скопіювати.як правило, їх можна знайти в папці Photos (фотографії), але так як iPod можна використовувати як USB-диск, то вони можуть розміщуватися в будь-якому місці. Переміщайтеся по папці, щоб знайти потрібні фотографії.
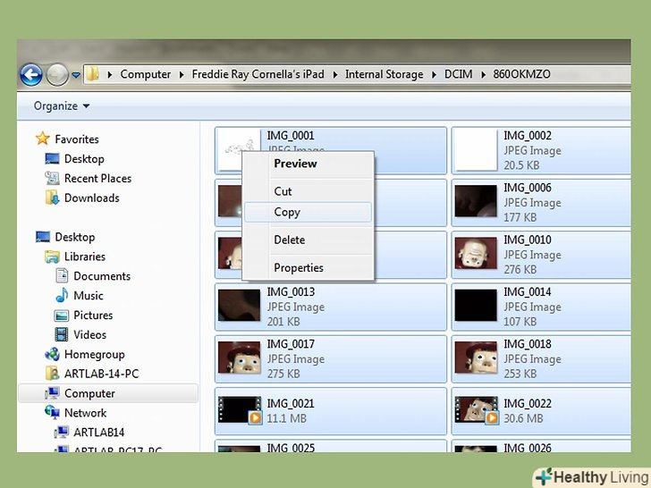
  4. Перенесіть фотографії з Ipod на комп'ютер. ви можете вибрати зображення, які потрібно скопіювати/перенести на комп'ютер, а потім скопіюйте їх, вибравши EditCopy, натиснувши праву кнопку миші і вибравши Copy, або натиснувши Ctrl+C (Windows), або Cmd+C (Mac).
    • Виберіть місце, куди хочете перемістити зображення на і вставити скопійовані фотографії. Ви можете зробити це, натиснувшиEdit (редагувати)→ Paste (вставити), клацнувши правою кнопкою миші на порожньому місці і вибравши Paste (вставити), або, натиснувши клавішу Ctrl+V (Windows), або Cmd+V (Mac).
    • Якщо не хочете тримати фотографії на своєму IPod, то можете їх Cut (Вирізати) замість Cope (копіювати), що видалить оригінали, як тільки вони будуть скопійовані в нове місце. Ви можете їх вирізати, натиснувшиCtrl+X (Windows) або Cmd+X. Потім можна вставити так само, як описано вище.
    • Можете також передавати файли на IPod, якщо хочете.
  5. Зачекайте, поки передача фотографій завершиться.при передачі великої кількості зображень цей процес може зайняти деякий час. Індикатор виконання повідомить, скільки залишилося часу.
  6. Вийміть iPod.після закінчення процесу перенесення ви повинні витягти iPod перед відключенням його від комп'ютера. Це допоможе запобігти пошкодженню даних.
    • На Mac: клацніть правою кнопкою миші на Ipod на робочому столі і виберітьEject (витягти). Тепер можете відключити Ipod.
    • У Windows: натисніть кнопку " Safely remove hardware "(Безпечне вилучення пристрою) на системному треї (System Tray), а потім виберіть iPod. Тепер можете відключити Ipod.

Метод2 З 2:
Використання iPod Touch

Windows

  1. Підключіть iPod Touch до комп'ютера.якщо підключаєте його до комп'ютера в перший раз, то потрібно почекати кілька хвилин, в той час як Windows встановлює необхідні драйвери.
  2. Запустіть майстра імпорту.якщо з'явиться вікно Autoplay (Автозапуск), виберіть "Import pictures and videos" (імпортувати зображення і відео). Якщо вікно автозапуску Autoplay не з'являється, відкрийте вікно Computer/My Computer / This PC (Комп'ютер / мій комп'ютер / даний ПК), клацніть правою кнопкою миші на iPod Touch і виберіть Import pictures and videos (Імпорт зображень і відео).
  3. Виберіть фотографії, які хочете передати. Windows відсканує iPod Touch на наявність будь-яких фотографій. Далі на екрані відобразиться кількість знайдених знімків і кілька опцій. Щоб вибрати потрібні фотографії, переконайтеся, що обрана опція "review, organize, and group items to import" (перегляд, Організація і групування елементів для імпорту) і натисніть Next.
    • Зображення будуть відсортовані за датою зйомки. За замовчуванням будуть обрані всі зображення. Ви можете зняти прапорці поруч з будь-яким зображенням, яке не хочете зберігати, або зніміть прапорець у полі " Select all "(вибрати все) у верхній частині списку, щоб скасувати вибір всіх зображень.
    • Можете змінити спосіб групування зображень, змінюючи масштаб в правому нижньому кутку.
  4. Організуйте фотографії, які збираєтеся зберігати. Можете додати теги до зображень, які передаєте, натиснувши на кнопку "Add tags" (додати теги), що дозволяє простіше їх шукати. Ви також можете дати кожній групі зображень ім'я папки, натиснувши на кнопку "Enter a name" (введіть ім'я) зі значком папки.
  5. Встановіть параметри імпорту. натисніть посилання " More options "(Додаткові параметри) в лівому нижньому кутку вікна. Це дозволить задати папку для розміщення в ній нових фотографій, і як ви хочете назвати файли. Натисніть OK, коли закінчите.
    • Увімкніть опцію "Delete files from device after importing" (видалити файли з пристрою після імпорту), якщо хочете звільнити місце на Ipod після перенесення інформації.
  6. Перенесіть файли. натисніть < span class=" nowrap "title=" This is not a clickable button; it illustrates the button one should find." style="font-family: Segoe UI, Frutiger, Frutiger Linotype, Dejavu Sans, Helvetica Neue, Arial, sans-serif;letter-spacing:0px;padding:0em .6em; border:1px solid; border-color:#AAA #555 #555 #AAA; -moz-border-radius: 0px; -webkit-border-radius: 0px; border-radius: 0px; background-color: #F2F2F2; background-image: -moz-linear-gradient(top, #FCFCFC, #E0E0E0); background-image: -o-linear-gradient(top, #FCFCFC, #E0E0E0); background-image:-webkit-linear-gradient(top, #FCFCFC, #E0E0E0); background-image: linear-gradient(top, #FCFCFC, #E0E0E0); " > Import, щоб почати процес імпорту. Коли процес завершиться, потрапите в бібліотеку "Imported Pictures and Videos" (імпортовані зображення і відео). Ваші фотографії також можна знайти в папці, яку ви встановили; це папка за замовчуванням "Pictures".[2]

Mac OS X

  1. Підключіть IPod Touch до комп'ютера.при підключенні Ipod програма iPhoto повинна відкриватися автоматично. Якщо iPhoto не запускається автоматично, відкрийте її з папки "Applications" (Додатки).
  2. Виберіть фотографії, які потрібно імпортувати.ви можете імпортувати всі фотографії на iPod, натиснувши кнопку "Import # Photos". Якщо хочете імпортувати тільки певні фотографії, натискайте по кожній фотографії, яку хочете перенести, для її вибору. Натисніть кнопку " Import Selected Photos "(імпорт вибраних фотографій) для копіювання вибраних зображень.
    • Якщо iPhoto не відображає вміст iPod, переконайтеся, що він вибраний у розділі" Devices " лівого кадру.
  3. Виберіть видалення або зберігання імпортованих зображень. після вибору опції імпорту, вам буде запропоновано, чи зберігати фотографії, імпортовані на Ipod, або видаляти їх для економії місця. Якщо плануєте імпортувати фотографії знову на інший комп'ютер, тримайте їх на Ipod.[3]

Ще почитати: